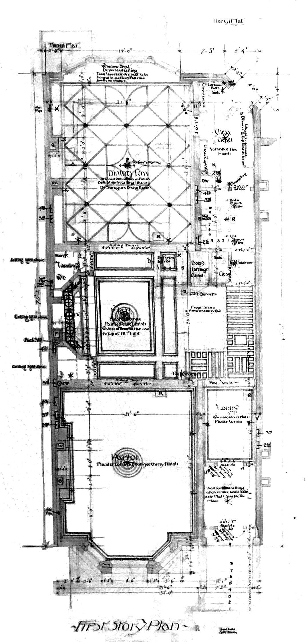
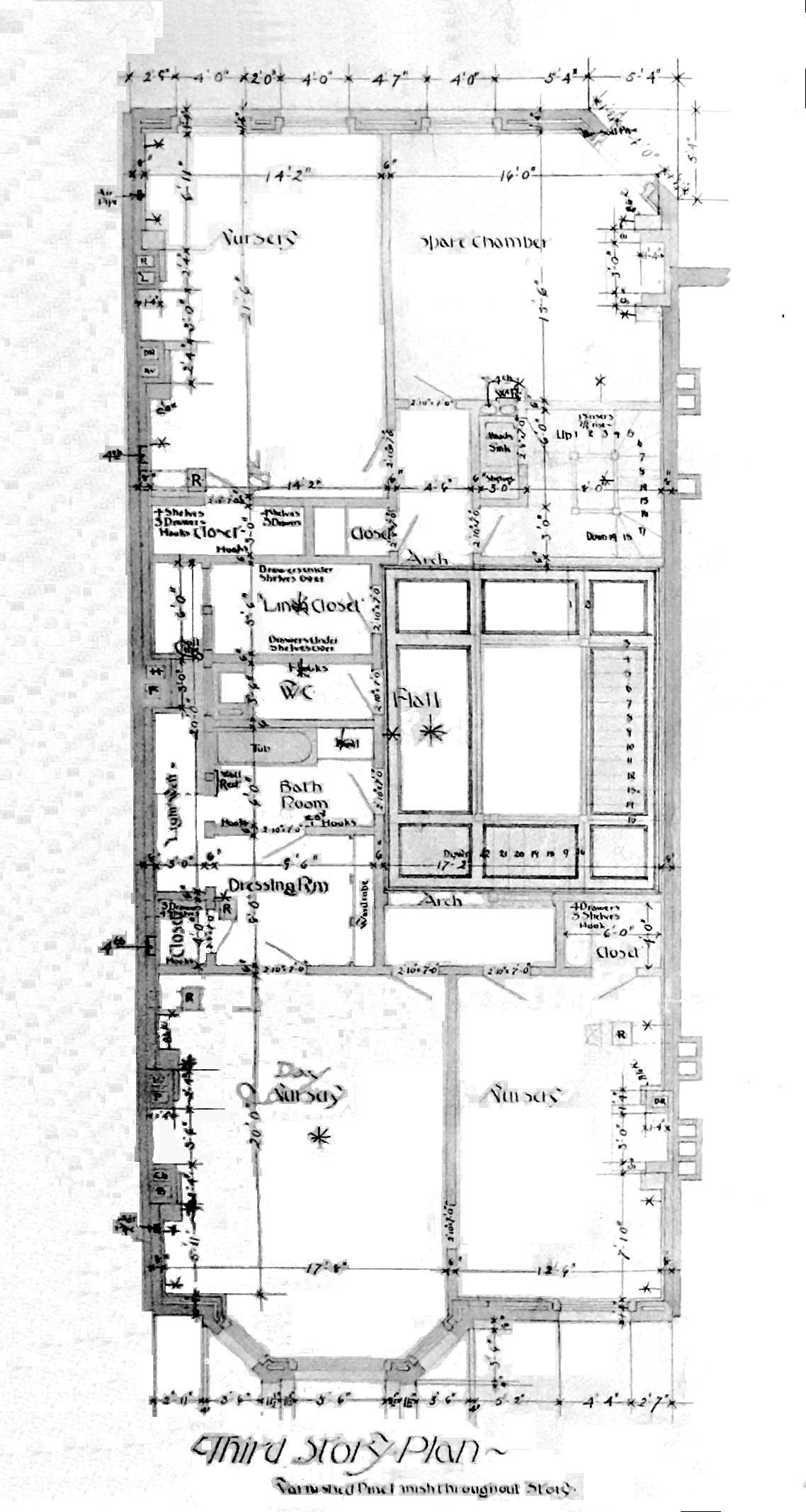
183 Marlborough was designed by Peabody and Stearns, architects, and built in 1882.
Plans for house are included in the Peabody and Stearns Collection in the Boston Public Library’s Arts Department (reference PS/MA.121).
The drawing of the first and second floor plans includes a notation referring to a June 1, 1882, contract and is signed by the firms and individuals who built the house, including Andrew Anderson (carpenter), John Farquahar’s Sons (slaters), Greenleaf L. Swett & Co. (galvanized iron cornices), Ovid D. Mooney (stucco), Cyrus Carpenter & Co. (furnaces and ranges), E. Ricker (granite), and Lewis F. Perry (painter) [descriptions of businesses or trades are from the 1880 and 1881 Boston City Directories]. Vinal & Dodge (masons), shown on the original building permit application (dated May 31, 1882) is not represented among the signators on the drawing.
These images, provided courtesy of the Boston Public Library, include drawings of the front elevation, rear elevation, first and second floor plans, third and fourth floor plans, basement and roof plans, and detail of the paneling and stair finishes. The plans also include drawings (not reproduced below) of the foundation and piling plan and blueprints of the framing plans for all floors.
The original plans are fragile, faint, and in poor condition, and these images have been gently manipulated to reduce the stains and tears where possible. In addition, enhanced copies of the floor plans, in black and white, also are included.
Click on the individual images to enlarge them.










