The following is an index to property transfer deeds, party wall agreements, building restriction agreements, and easements recorded at the Suffolk County Deed Registry from the original land purchase until December 31, 2010. Mortgages, trust agreements, and other similar recorded documents are not included. This index is intended as a guide only; actual deeds should be reviewed for details.
| Transfers of Land and Buildings | ||||
| Date of Deed | Grantor | Grantee | Book | Page |
| 27Dec1990 | Arthur D. Ullian (one-half undivided interest) | Eliot Hotel Associates LP (Arthur D. Ullian, sole general partner) | 16886 | 173 |
| 10Feb1984 | Riverway Manor, Inc. (Arthur D. Ullian, president and treasurer) (one-half undivided interest) | Arthur D. Ullian and Lawrence M. Levinson, trustees of the Sandra Davidson Trust created under the Nathan Ullian Family Trust | 10777 | 338 |
| 03Mar1964 | Harvey M. Ross and Janet R. Little, formerly Janet Ross, executors under the will of Frank Ross (one-half undivided interest) | Riverway Manor, Inc. | 7826 | 211 |
| 29Dec1942 | Ray C. Johnson | Frank Ross and Nathan Ullian | 7012 | 579 |
| 22Dec1942 | Henry C. Brookings | Ray C. Johnson | 6020 | 570 |
| 18Sep1941 | Walter R, Moore | Henry C. Brookings | 5949 | 602 |
| 07May1930 | Olin L. Fuller | Walter R. Moore | ||
| 20Dec1928 | Charles Ridgely, trustee (foreclosure of mortgage to 370 Commonwealth Ave., Inc., under bond indenture) | Olin L. Fuller | 5069 | 101 |
| Transfers of Unimproved Land: Consolidated Lot on which 370 Commonwealth was built | ||||
| Date of Deed | Grantor | Grantee | Book | Page |
| 20Oct1924 | William H. Agry, trustee of a real estate investment trust dated 01Feb1912 | 370 Commonwealth Ave., Inc. | 4619 | 341 |
| 19Aug1920 | Herbert F. Winslow (foreclosure of mortgage from William Stober to estate of Henry Lee, assigned to Herbert Winslow) | William H. Agry, trustee | 4246 | 422 |
| 27Jun1917 | Schuyler S. Bartlett and Henry B. Cabot, trustees under will of Henry Lee | William J. Stober | 4041 | 261 |

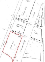
Detail from plan by Fuller & Whitney, 15Oct1886; Suffolk County Deed Book 1752, p. 580 (color added)
The lot on which 370 Commonwealth was built was part of a larger parcel that extended west from Massachusetts Avenue (called West Chester Park at that time) between Commonwealth and Newbury, including the property where the Sherman Building was built at 93-97 Newbury in 1906 and where the Harvard Club of Boston was built at 374 Commonwealth in 1912.
This parcel had been assembled by Henry Lee through two purchases on December 9, 1886, combining portions of two larger tracts of land originally purchased from the Boston Water Power Company. The lots acquired by Henry Lee were shown on a plan by Fuller & Whitney dated October 15, 1886.

Detail from plan by Fuller & Whitney, 26Jun1880; Suffolk County Deed Book 1506, p. 194 (color added)
The western parcel acquired by Henry Lee was shown as Lots A and B on the plan (outlined in red in the plan to the right). These were part of a larger tract of land originally purchased from the Boston Water Power Company on October 15, 1880, by The Park Entrance Lands Trust, a group of investors formed to purchase, develop, and dispose of four parcels of land they acquired from the Boston Water Power Company. The four parcels included all of the land on the south side of Commonwealth running west from a point about 24 feet west of Massachusetts Avenue to the intersection with Beacon Street (in what is now Kenmore Square), and south to Westland Avenue. These parcels were shown on a plan by Fuller & Whitney dated June 26, 1880; the parcel which included the land subsequently purchased by Henry Lee was shown as Lot 3 on this plan (outlined in red on the plan to the left). The investors called themselves The Park Entrance Lands Trust because their property included park land south of Commonwealth between what are now Charlesgate East and Charlesgate West, land which was designated as the Beacon Street entrance to the new Back Bay Park (now the Back Bay Fens),
| Transfers of Lots A and B on a plan by Fuller & Whitney dated October 15, 1886 | ||||
| 09Dec1886 | Henry M. Whitney, Grenville T. W. Braman, and Henry D. Hyde, trustees,The Park Entrance Lands trust | Henry Lee | 1752 | 580 |
| 15Oct1880 | Boston Water Power Company | Henry M. Whitney, Grenville T. W. Braman, and Henry D. Hyde, trustees, The Park Entrance Lands trust | 1506 | 195 |
| 15Oct1880 | Dwight Foster, Gilman Collamore, and George Richardson, trustees for bonds issued by the Boston Water Power Co. | Henry M. Whitney, Grenville T. W. Braman, and Henry D. Hyde, trustees, The Park Entrance Lands trust | 1506 | 193 |
The eastern parcel acquired by Henry Lee was shown as Lots C and D on the Fuller & Whitney plan dated October 15, 1886. These were part of two larger tracts that ran southwest from Commonwealth at at approximately a 45 degree angle, spanning Massachusetts Avenue, that had been bought from the Boston Water Power Company on April 19, 1870, by David Nelson Skillings, as trustee for a group of investors that included himself, Lawrence Barnes, Charles Whitney, and David Whitney, Jr. These parcels were shown on a plan by J. F. Fuller dated April 19, 1870 (outlined in blue on the plan to the right). This land included Parker Street, which ran above the Cross Dam, and ceased to be a street and was sold for development in 1878 (David Skillings bought the portion of the roadway that was within his other lands on February 7, 1878).
| Transfers of Lots C and D on a plan by Fuller & Whitney dated October 15, 1886 | ||||
| 09Dec1886 | Henry M. Whitney | Henry Lee | 1752 | 584 |
| 06Dec1886 | Ambrose A. Ranney | Henry M. Whitney | 1752 | 217 |
| 29Nov1884 | Linus M. Price (foreclosure of mortgage by George Shepard to William Skillings et al, assumed by Linus M. Price) | Ambrose A. Ranney | 1662 | 396 |
| 13Oct1882 | George W. Shepard | Linus M. Price | 1576 | 335 |
| 13Oct1882 | Alfred A. Marcus (foreclosure of mortgage by Alfred A, Marcus to William Skillings et al) | George W. Shepard | 1576 | 417 |
| 28Mar1881 | Estate of David N. Skillings: Mary Skillings, William E. Skillings, Elisha D. Bangs and Georgia Bangs, his wife, by her own right, David N. Skillings, “formerly the younger,” James W. Skillings, Mary Skillings, and Julius P. Skillings | Alfred A. Marcus | 1520 | 577 |
| 07Feb1878 | Commonwealth of Massachusetts (Road bed and lands for Parker Street between the Boston and Albany Railroad and the junction of Commonwealth with Massachusetts Avenue) | David N. Skillings | 1410 | 3 |
| 12Jan1878 | David N. Skillings, Jr. | David N. Skillings | 1407 | 187 |
| 05Jan1878 | David N. Skillings, trustee for himself, Charles Whitney, and David Whitney, Jr. (Deed in foreclosure of mortgage from Horace M. Bearce and Ira T. Drew) | David N. Skillings, Jr. | 1407 | 185 |
| 03May1873 | David N. Skillings, trustee for himself, Lawrence Barnes, Charles Whitney, and David Whitney, Jr. | Horace M. Bearce and Ira T. Drew | 1162 | 281 |
| 19Apr1870 | Boston Water Power Company | David N. Skillings, trustee for himself, Lawrence Barnes, Charles Whitney, and David Whitney, Jr. | 997 | 73 |
The land on which 370 Commonwealth was built also was subject to party wall and building restriction agreements, and easements.
| Party Wall Agreements | |||||
| Date | Party One | Party Two | Book | Page | |
| 01Jan1913 | Harvard Club of Boston (374 Commonwealth) | Schuyler S. Bartlett and Henry B. Cabot, trustees under the will of Henry Lee (370 Commonwealth) | 3699 | 261 | |
| Building restriction agreement by owners of property on the south side of Commonwealth and north side of Newbury between Massachusetts Avenue and Charlesgate East, allowing bay windows to extend into the alley, provided that they extend no further than three feet and are at least 19 feet above the surface of the passageway | |||||
| Date | Parties to Agreement | Book | Page | ||
| 01Jul1908 | Henry M. Williams individually and as co-trustee, Somerset Hotel Trust; John D. Hardy, trustee, Avenue Realty Trust; Cambridgeport Savings Bank; A. L. K. Volkmann; Charles H. Rutan, Schuyler S. Bartlett, and Henry B. Cabot, trustees under the will of Henry Lee; Charles R. Batt and Walter R. Dyer, trustees, 399 Newbury Street; Benjamin D, Hyde, executor of the estate of H. D. Hyde; E. Florence Macconnell; Louisa P. Russell; Robert L. Winkley, conservator of the estate of Albert Pope; and Frank D. Ellison | 3518 | 48 | ||
| Easement: Passageway to Newbury between 370 and 374 Commonwealth | |||||
| Date | Party One | Party Two | Book | Page | |
| 27Jun1917 | William J. Stober (370 Commonwealth) | Harvard Club of Boston (374 Commonwealth) | 4041 | 262 | |
