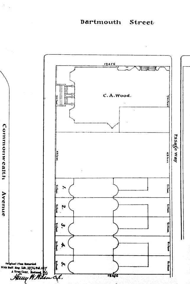
Deed 1074-126 (1871 Plan – 160-168 Comm) A ← Previous Next → Plan of land showing Hotel Vendôme building and five townhouses, filed with deed of land from the Commonwealth of Massachusetts, 29Sep1871 (Suffolk County Deed Registry, Book 1074, p. 127)