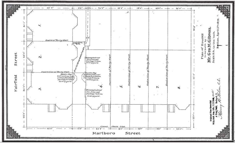
Deed 1126-end (1872 Plan – 282-292 Marl – 7-9 Fair) ← Previous Next → Plot plan of 282-290 Marlborough and 7-9 Fairfield showing easements; 17Apr1872; Suffolk County Deed Registry, Book 1126 (end)