3 Arlington is located on the west side of Arlington, between Beacon and Marlborough, with 2 Arlington to the north and 4-5 Arlington to the south, across Alley 421.
3 Arlington was designed by architects Gridley J. F. Bryant and Arthur Gilman, and built in 1860-1861 by J. E. & N. Brown, carpenters, and Standish & Woodbury, masons, one of three contiguous houses (1-2-3 Arlington) built for clothing manufacturer and real estate investor John Simmons.
The land on which 1-2-3 Arlington were built was originally part of a larger tract purchased from the Commonwealth of Massachusetts on August 1, 1857, by William Warren Goddard and T. Bigelow Lawrence. They sold a corner lot (40 feet on Beacon by 112 feet on Arlington) to John C. Gray on September 1, 1859, and a second lot of the same size, immediately to the west, to John Simmons on October 1, 1859. John Simmons purchased John Gray’s lot on November 1, 1859, and purchased an additional strip of land five feet by 112 feet from Goddard and Lawrence on April 30, 1860, completing a lot which was 112 feet on Arlington and 85 feet on Beacon on which he had 1-2-3 Arlington built.
Click here for an index to the deeds for 3 Arlington, and click here for further information about the land on the south side of Beacon from Arlington to Berkeley, north of Alley 421.

2-3 Arlington (ca. 1867); Josiah Johnson Hawes Collection (#452), courtesy of The John F. Kennedy Library Foundation, Boston (licensed by The John F. Kennedy Library Foundation. all rights reserved).
An April 10, 1860, Boston Evening Transcript article reported that J. E. & N. Brown had filed a Notice of Intention with the Board of Alderman to build “on Arlington and Beacon streets.” On May 25, 1860, the Transcript reported that “”At the corner of Beacon and Arlington streets the piles are now being driven for a block of three uniform houses, each 30×65 feet, the exteriors to be of Connecticut brown stone, of a highly ornamental character. They are erected under the superintendence of Messrs. J. E. & N. Brown, for John Simmons, esq., and are intended to be finished throughout in a style equal to the best houses in that vicinity.” On August 7, 1861, the Boston Traveller reported that the three houses were “nearly completed.”
In his Houses of Boston’s Back Bay, Bainbridge Bunting indicates that 1-2-3 Arlington “probably” were designed by Gridley Bryant. A September 24, 1860, article in the Boston Post confirms that the architect was Gridley Bryant, as does a May 6, 1862, advertisement published in the Boston Evening Transcript by John Simmons, offering two of the three houses for sale.
Roger Reed, in his Building Victorian Boston: The Architecture of Gridley J. F. Bryant, states that they were designed by Bryant in association with Arthur Gilman, and cites the May 25, 1860, Boston Evening Transcript article as his source (that article discusses a number of houses and states that thirteen of them were by Bryant and Gilman, without providing specific addresses).
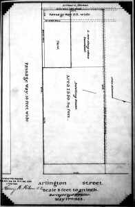
1-2-3 Arlington were designed to give the appearance of one large, monumental building, in the French Academic style popular in Paris during the 1850s and 1860s. 2 Arlington – the middle house – is set slightly further back from the street than the two surrounding houses, whose mansard roofs project outwards slightly to frame it. As originally designed, there was a five foot wide passageway at the rear of 2 and 3 Arlington, running parallel to Arlington and underneath the rear ells, to provide access to the alley for all three houses.

Plan showing passageway at rear of 2-3 Arlington, May 17, 1862, Suffolk County Deed Registry, Book 812, page 257
On June 2, 1862, 3 Arlington was purchased from John Simmons by Mary Elizabeth (Crockett) Dana, the wife of Samuel Turner Dana. The Danas previously had lived at 10 Walnut.
Samuel Dana was a commission merchant dealing in tea and other commodities, and also was agent for George Peabody & Co., London bankers.
Samuel Dana died in December of 1877. Mary Dana continued to live at 3 Arlington until her death in July of 1884.
During the 1884-1885 and 1885-1886 winter seasons, 3 Arlington was the home of Albert Winslow Nickerson, a railroad, textile, and mining company investor, and his wife, Amelia Frances (Lindsay) Nickerson. They also maintained a home in Marion, on Buzzards Bay, and in 1886-1887 built a home, Riverdale, in Dedham, designed by Shepley, Rutan, and Coolidge.
During the 1886-1887 winter season, 3 Arlington was the home of lawyer and former US Circuit Court Judge John Lowell and his wife, Lucy Buckminster (Emerson) Lowell. They previously had lived in Chestnut Hill, where they continued to maintain a residence. By the next season, they had moved to 24 Commonwealth.
On June 2, 1887, 3 Arlington was purchased from Mary E. Dana’s estate by Amos Prescott Baker. By the 1887-1888 winter season, he and his wife, Ellen Talbot (Smith) Baker, had made it their home. They previously had lived in Newport.
A. Prescott Baker had been educated as a physician but, instead, entered the real estate business in Newport with his father-in-law, Alfred Smith. After his father-in-law’s death in October of 1886, the Bakers moved to Boston where he continued as a real estate dealer.
The Bakers continued to live at 3 Arlington during the 1897-1898 winter season, but moved thereafter and by the 1899-1900 season were living at the Hotel Victoria at 273 Dartmouth.
On November 6, 1897, Miss Annie M. (Martha Ann) Knight purchased 3 Arlington from A. Prescott Baker. She lived there with her sisters, Margaret Knight and Mary (Knight) Harris, the widow of Jacob Brown Harris. She accepted lodgers and operated lodgers and operated a dressmaking, millinery, and children’s outfitting shop in the house.
Mary Harris died in March of 1915.
Annie Knight and Margaret Knight continued to live at 3 Arlington until their deaths, Annie Knight in December of 1917 and Margaret Knight in March of 1919.
On July 14, 1920, 3 Arlington was purchased from the estate of Annie M. Knight by Lydia (Eliot) Codman, the wife of Alfred Codman. She previously had lived at 51 Hereford. He had been a stockbroker in Boston. After his firm failed in May of 1918, he moved to New York. Although they were listed together in the Boston Blue Books, it appears that they had permanently separated. They divorced in 1923.
After her husband’s business failed and he moved to New York, Lydia Codman had opened a dressmaking business at 51 Hereford. She continued to operate the business at 3 Arlington.
In July of 1924, Lydia Codman married again, to insurance broker Oliver Turner. They lived at 3 Arlington and also maintained a home in Bolton, Massachusetts.
Oliver Turner died in July of 1937. Lydia Turner continued to live and maintain her dressmaking shop (called Lydia Codman Gowns) at 3 Arlington.
In August of 1948, Lydia Turner married again, to mining company executive Quincy Adams Shaw, Jr., whose first wife, Sarah Williams (Pemberton) Shaw, had died in January of 1945. After their marriage, she closed her business at 3 Arlington and they lived at his home at 11 Exeter.
On April 10, 1950, 3 Arlington was purchased from Lydia Shaw by Donald Allmon, Inc., a real estate brokerage firm.
In March of 1950, prior to finalizing the purchase, Donald Allmon filed for (and subsequently received) permission to convert the property into eight apartments and an office. He and his wife, Janet Cary (Waters) Allmon, lived at 3 Arlington and he maintained his real estate office there. They previously had lived in an apartment at 265 Commonwealth.
They continued to live at 3 Arlington until about 1954, when they moved to Manchester, Massachusetts He continued to maintain his office at 3 Arlington until about 1955, when he moved it to 10 Arlington.
On August 19, 1954, Donald Allmon Inc. transferred 3 Arlington into Donald Allmon’s name.
On September 14, 1954, 3 Arlington was acquired from Donald Allmon by Arthur Crew Inman, an author and poet, and his wife, Evelyn (Yates) Inman. They lived at 8 Garrison. Arthur Inman died in December of 1963, a suicide, leaving a 155 volume diary which was published posthumously as The Inman Diary.
On August 28, 1956, 3 Arlington was purchased from the Inmans by Carl N. Gleason. In October of 1957, he filed for (and subsequently received) permission to convert the property from two offices and seven apartments to one office and eight apartments (which appears to already have been the approved use).
On September 1, 1959, 3 Arlington was acquired from Carl Gleason by Elisha Russell Greenhood and his wife, Constance (Baldwin) Greenhood. They lived in one of the apartments. They previously had lived at 97 Chestnut.
The Greenhoods changed their name from Greenhood to Greenwood in the early 1960s. A former lawyer, he was president of Lumber Dryolators Inc. By the late 1960s, he was a wool broker, and by the early 1970s he was a real estate manager and developer.
In September of 1965, E. Russell Greenwood applied for permission to remove the mansard roof and add a story to the building, increasing the number of apartments from eight to ten. He subsequently abandoned the application.
Constance Greenwood died in December of 1974. E. Russell Greenwood continued to live at 3 Arlington until about 1976, when he moved to an apartment at 780 Boylston.
On April 30, 1976, 3 Arlington was acquired from E. Russell Greenwood by Robert Emmet Dinsmore.
On December 21, 1983, 3 Arlington was purchased from Robert Emmet Dinsmore and Helen A. Dinsmore, by John J. Burkly, trustee of the 3 Arlington Street Realty Trust.
On May 1, 1984, 3 Arlington was purchased from John Burkly, trustee, by Frank Mondano and his wife, Juliane Mondano. On October 19, 1984, they converted the property into one commercial (office) condominium unit and six residential condominium units, the 3 Arlington Street Condominium.
On September 26, 2018, the unit owners amended the condominium master deed to change the designation of the commercial unit to residential use.






