527-529 Beacon are located on the south side of Beacon, between Massachusetts Avenue and Charlesgate East, with 525 Beacon to the east and 531 Beacon to the west.
527 Beacon and 529 Beacon are two of ten contiguous houses (511-529 Beacon) designed by architect Samuel D. Kelley and built in 1887 for Chadwick & Stillings (N. Henry Chadwick and Oscar L. Stillings), a hat block and flange company that became a significant house building firm in the 1880s and 1890s. They are shown as the owners and builders on the original permit applications, all dated March 14, 1887, and on the final building inspection report for 529 Beacon, dated November 14, 1887. The next year, Chadwick & Stillings built one more house, also designed by Samuel Kelley, at 531 Beacon.

Second floor plan of 527-529 Beacon, bound with the final building inspection report, 14Nov1887 (v. 21, p. 61); Boston City Archives

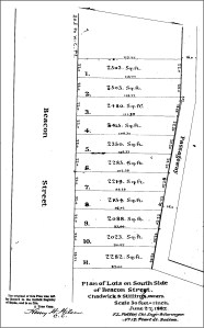
Plot plan for 511-531 Beacon; Suffolk Co. Deed Registry, Book1796, p. 418 (27Jun1887)
The ten houses at 511-529 Beacon are of a similar pattern, all with entrances on the east side and cylindrical bays on the west. The houses furthest east and west in the group (511 and 529 Beacon) have brick bays which extend to the third story, with two windows above the bay on the fourth story. The next two houses from either end (513 and 527 Beacon) have rusticated stone bays which are cylindrical for the first two stories and angled on the third story, with single arched window above surrounded by decorative stonework with a triangular top. The next two houses from either end (515 and 525 Beacon) have brick cylindrical bays to the third story, with three windows above surrounded by decorative stonework with a fan shape at the top. The four houses in the center of the grouping (517-519-521-523 Beacon) are variations on the same themes.
N. Henry Chadwick and Oscar Stillings purchased the land for 511-531 Beacon on June 1, 1887, from a real estate investment trust formed by Francis W. Palfrey, Francis A. Osborn, and Grenville T. W. Braman. It was part of a parcel of land the trust had purchased on June 1, 1880, from the Boston Water Power Company.
Click here for an index to the deeds for 527-529 Beacon, and click here for further information on the land west of Massachusetts Avenue between the south side of Beacon and the north side of Commonwealth.
Since 1908, 527 Beacon and 529 Beacon have been owned as a single property. They were legally combined in 1959.
527 Beacon
On November 1, 1887, 527 Beacon was purchased from N. Henry Chadwick and Oscar Stillings by Francis Manning Stanwood. He and his wife, Louisa Blair (Rogers) Stanwood, made it their home. They previously had lived at 163 West Chester Park. They also maintained a home in Manchester, Massachusetts.
Francis Stanwood was a merchant. In the mid-1890s, he became manager and editor of the Boston Journal (it had been owned by his father-in-law, Col. Charles O. Rogers, who died in 1869). By 1898, he was president of the Hotel and Railroad News Company.
The Stanwoods continued to live at 527 Beacon during the 1907-1908 winter season. By 1909, they had moved to 250 Commonwealth.
On May 26, 1908, 527 Beacon was acquired from Francis Stanwood by Dr. Fred Bates Lund, a physician. He and his wife, Zoe Meriam (Griffing) Lund, owned and lived at 529 Beacon. After acquiring 527 Beacon, he moved his medical office there and leased offices and lodgings to other physicians.
529 Beacon
On March 6, 1888, 529 Beacon was purchased from N. Henry Chadwick and Oscar Stillings by George Oliver Carpenter, a paint and varnish manufacturer and general insurance agent. He and his wife, Maria Josephine (Emerson) Carpenter, lived at 10 Union Park in 1889 and before, and at the Hotel Kensington (687 Boylston) in 1890 and later; it does not appear that they ever lived at 529 Beacon.
On May 27, 1889, 529 Beacon was acquired from George Carpenter by Elizabeth (Fitzpatrick) Washburn, the wife of John Marshall Washburn. They previously had lived at 423 Beacon.
John Washburn was treasurer of the Old Colony Railroad, having held the position for a number of years. In September of 1893, an investigation revealed that he had embezzled a significant amount of funds from the railroad to make speculative and unsuccessful stock investments. He resigned and, to cover the losses, he assigned all of his property to the railroad (not including 529 Beacon, which was owned by his wife). He died two months later, in November of 1893.
During the 1894-1895 winter season Elizabeth Washburn was living elsewhere and 529 Beacon was the home of Mrs. Frances N. Taylor. She previously had lived in an apartment at 224 Marlborough.
Elizabeth Washburn resumed living at 529 Beacon during the 1895-1896 season, joined briefly by Frank Dane Balderston and his wife, Clara Elizabeth (Banchor) Balderston, who had married in November of 1895 and were listed at 529 Beacon (along with Mrs. Washburn) in the 1896 Blue Book. He was head of the Boston Office of the U. S. Rubber Company. The Balderstons moved soon thereafter to Trinity Court (southeast corner of Dartmouth and Stuart).
Elizabeth Washburn continued to be listed at 529 Beacon in the 1897 Blue Book but appears to have moved by late 1896.
On December 6, 1896, the “Table Gossip” column in the Boston Globe reported that Charles Winthrop Morse and his wife, Emily M. (Millett) Morse, were spending the winter season at 529 Beacon. Their usual residence was 220 Savin Hill in Dorchester. He was treasurer of a plumbing supply company.
On November 19, 1897, 529 Beacon was acquired from Elizabeth Washburn by William Alexander Gaston. He and his wife, May Davidson (Lockwood) Gaston, lived at 587 Beacon, and do not appear to have occupied 529 Beacon. He was a lawyer and president of the Boston Elevated Railroad, and later would become an organizer and president of the National Shawmut Bank.
529 Beacon was not listed in the 1898-1899 Blue Books.
On January 20, 1899, 529 Beacon was acquired from William A. Gaston by Dr. Fred Bates Lund. He and his wife, Zoe Meriam (Griffing) Lund, made it their home. They previously had lived at 122 Marlborough. They also maintained a home in Scituate.
Fred Bates Lund was a physician and surgeon, and he maintained his medical office at 529 Beacon.
527-529 Beacon
On May 26, 1908, Fred Bates Lund acquired 527 Beacon from Francis Stanwood. Dr. Lund moved his his office there and leased lodgings and offices to other physicians.
Among the physicians who both lived and maintained their offices at 527 Beacon were were Dr. Thomas Francis Leen, who lived there from 1909 until his marriage in November of 1913 to Anna Jones Malley, after which they moved to 19 Bay State Road; Edward Hammond Risley, who lived there from 1910 until his marriage in August of 1914 to Ada Wilson Simpson, after which they moved to an apartment at 31 Massachusetts Avenue; and Irving James Walker, who lived there from 1910 until his marriage in February of 1913 to Dorothy Carle Pierce, after which they moved to Allston (he continued to maintain his office at 527 Beacon for several more years).
Between about 1914 and 1920, 527 Beacon appears to have been primarily medical offices.
By the 1921-1922 winter season, however, 527 Beacon also was the home of Stephen Howe Bennett, a stockbroker. He was a widower and previously had lived at 329 Commonwealth. He continued to live at 527 Beacon until about 1929, when he moved to The Charlesgate at 535 Beacon.
From about 1920, Dr. Edward Wyllys Taylor, a physician and professor at Harvard Medical School, maintained his office at 527 Beacon. He and his wife, Elsie Brewster (Howe) Taylor, lived at 457 Marlborough and his office previously had been there. He continued to maintain his office at 527 Beacon until about 1926, when he moved it back to his home.
The Lunds continued to live at 529 Beacon and he to maintain his medical office at 527 Beacon until about 1929. They subsequently moved to Newton Centre and he moved his office to 319 Longwood Avenue.
On December 1, 1928, 527-529 Beacon were purchased from Fred Bates Lund by real estate dealer and importer George Shdeed Maloof.
On September 3, 1929, 527-529 Beacon were acquired from George Maloof by Katherine (Catherine) E. (O’Connor) Finnegan, the widow of Thomas E. Finnegan. She lived at 529 Beacon with her son, Joseph James Finnegan, and operated both 527 and 529 Beacon as a lodging house . They previously had lived at 856 Beacon.
Katherine Finnegan continued to live at 529 Beacon until her death in January of 1938.
Joseph Finnegan married in 1939 to Alice E. Wright. After their marriage, they lived at 529 Beacon and continued to operate the lodging houses at 527-529 Beacon.
Joseph Finnegan died in June of 1942. Alice Finnegan moved soon thereafter to 114 Riverway.

531 Beacon, looking east towards 517 Beacon; (ca. 1890) photograph by Augustine H. Folsom, courtesy of the Boston Athenaeum
On November 18, 1942, the Institution for Savings in Roxbury and Its Vicinity foreclosed on mortgages it held on 527-529 Beacon and took possession of the property.
On June 4, 1943, 527-529 Beacon were purchased from the Institution for Savings by Miss Jean Coates and Henry L. Bisson, who operated them as lodging houses. They both previously had lived at 173 St. Botolph, where Jean Coates had operated a lodging house. She also operated lodging houses at 110 and 162 St. Botolph, and continued to do so after they moved to 529 Beacon.
By 1945, Henry Bisson had moved to 12 Union Park. Jean Coates continued to live at 529 Beacon in 1945, but moved by 1946 to 110 St. Botolph, which she had continued to operate as a lodging house.
On March 1, 1945, 527-529 Beacon were acquired from Jean Coates and Henry Bisson by Lillian Carmela (Barbanti) Luderer, the former wife of Walter Paul Luderer, who operated them as lodging houses. She previously had lived at 323 Beacon.
In July of 1945, Lillian Luderer filed for (and subsequently received) permission to legalize the occupancy of 529 Beacon as a lodging house. The application appears to have been intended to include both 527 and 529 Beacon.
She continued to live at 529 Beacon in 1946, but moved soon thereafter to 113 Beacon.
In 1944, when had Jean Coates purchased and moved to 527-529 Beacon, Eva Belle (Brennan) Lussier, the wife of Frederick Joseph Lussier, moved there as well. She had been a lodger at 162 St. Botolph (operated by Jean Coates). After Jean Coates sold 527-529 Beacon in 1945 to Lillian Luderer, Eva Lussier continued to live at 529 Beacon and, it appears, it was she who managed 527-529 Beacon as lodging houses. After the war, she was joined by her husband. They continued to live there until about 1960.
On November 15, 1951, was acquired from Lillian Luderer by Leon H. Jenanyan. He lived at 33 Upton with his brother and sister-in-law, Ralph A. Jenanyan and Mary (Tamoosch) Jenanyan. They operated the Rajer Luncheonette at 810 Beacon.
On May 15, 1952, 527-529 Beacon was acquired from Leon Jenanyan by Emil Sztucinski and Martin E. Gaykan.
On July 29, 1953, 527-529 Beacon was acquired from Emil Sztucinski and Martin Gaykan by Jack (Jacob) Frager and his wife, Betty (Rebecca) (Simon) Frager. They lived at 527 Beacon. They previously had lived in Rhode Island.
Jack Frager died in September of 1954.
The property changed hands and was acquired on January 5, 1960, by Solomon Kolodny.
In December of 1959, he filed for (and subsequently received) permission to combine 527 and 529 Beacon into a single property, with the address of 529 Beacon, and to convert the buildings into 25 apartments. In March of 1960, he amended the application to reduce the number of apartments to 23. As part of the remodeling, the entrance to 527 Beacon was converted into a window, and the entrance to 529 Beacon, serving both houses, was redesigned. Plans for the remodeling, designed by architect Leon Furr, are included in the City of Boston Blueprints Collection in the Boston City Archives (reference BIN R-277).
On June 29, 1960, Solomon Kolodny transferred 527-529 Beacon to himself and his wife, Anita (Silverman) Kolodny, as trustees of the Ansko Realty Trust.
In July of 1961, Solomon Kolodny applied for (and subsequently received) permission to convert one of the basement apartments into an office for use by his real estate business.
On March 25, 1974, 527-529 Beacon was acquired from the Kolodnys by Peter V. Corea and William C. Corea, trustees of the Chandler School Trust. It appears that the school continued to operate the property as apartments.
On July 20, 1979, 527-529 Beacon were acquired from the Chandler School Trust by Emerson College. In February of 1981, it filed for permission to convert the property into a dormitory. The permit was denied and Emerson College’s appeal was dismissed, and the property remained 22 apartments and a basement office.
The property changed hands and on August 30, 1988, was purchased by Charles Patsos, trustee of the 527 Beacon Realty Trust.
On August 1, 1996, 527-529 Beacon were purchased from Nader Golestaneh, successor trustee of 527 Beacon Realty Trust, by Linda E. Hahn, trustee of the 527-529 Beacon Street Realty Trust.
On January 6, 2021, 527-529 Beacon was purchased from Mohsen Vessali, successor trustee of the 527-529 Beacon Street Realty Trust, by the Ledermann US Real Estate Corporation.
On September 20, 2022, 527-529 Beacon was purchased from the Ledermann US Real Estate Corp. by the 527-529 Beacon Street LLC (manager of record the Mount Vernon Company, Inc., Bruce A. Percelay, president).
On July 7, 2025, 527-529 Beacon was purchased form the 527-529 Beacon Street LLC by the 529 Beacon Street LLC (Copley Management and Development Corp., manager).
527-529 Beacon remained an apartment building in 2025.



