145 Beacon is located on the south side of Beacon, between Arlington and Berkeley, with 143 Beacon to the east and 303 Berkeley (147 Beacon) to the west.
145 Beacon was built ca. 1861, one of two contiguous houses (143-145 Beacon) built at the same time as a symmetrical pair, with 145 Beacon four feet wider than 143 Beacon. The party wall between the two houses has a one foot jog to the east so that the frontage of 145 Beacon is 24 feet on Beacon and 25 feet on Alley 421.
Both houses were built for shipping merchant and real estate investor John Lowell Gardner, along with the adjoining house at 147 Beacon (the entrance to which was moved to Berkeley Street ca. 1906 and the house renumbered 303 Berkeley). John L. Gardner and his wife, Catharine Elizabeth (Peabody) Gardner, lived at 7 Beacon, and would build a new home at 182 Beacon in the mid-1860s.
The land on which 143-145 Beacon were built was part of a larger parcel John L. Gardner had purchased on September 15, 1859, from William W. Goddard and T. Bigelow Lawrence. That parcel included the land on the south side of Beacon running from Berkeley east 114 feet; John L. Gardner sold the land to the east, where 139-141 Beacon would be built, and retained the land to the west for 143-145-147 Beacon. The parcel originally was part of a tract of land that William Goddard and T. Bigelow Lawrence had purchased from the Commonwealth of Massachusetts on August 1, 1857, that included all of the land on the south side Beacon Street from Arlington to Berkeley.

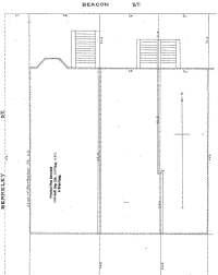
Plan of 143-145-147 Beacon showing party wall detail; Suffolk County Deed Registry, Book 1663, p. 482 (17Dec1884)
Click here for an index to the deeds for 145 Beacon, and click here for further information about the land on the south side of Beacon from Arlington to Berkeley, north of Alley 421.
On September 3, 1860, John L. Gardner joined with land owners and builders of the houses under construction at 131-141 Beacon in a petition to the Board of Aldermen seeking permission to remove “the very objectionable Poplar trees in front of their premises.” The petition was granted by the Board.
By 1863, 145 Beacon was the home of John Lowell Gardner’s son-in-law and daughter, attorney Joseph Randolph Coolidge and Julia (Gardner) Coolidge. They previously had lived at 7 Beacon with her parents.
From mid-1868 through mid-1871, the Coolidges were traveling in Europe; their son Harold was born in Nice, France, in January of 1870.
In 1869, 145 Beacon was the home of banker Hollis Hunnewell and his wife, Louisa (Bronson) Hunnewell. They previously had lived at 59 Beacon. They traveled to Europe in November of 1869 and returned in 1871 to their newly-built home at 315 Dartmouth.
In 1870, 145 Beacon was the home of Ellen (Lamb) Treadwell Stetson, the widow of George Treadwell and of Joshua Stetson, who had died in July of 1869. Prior to his death, they had lived at 29 Commonwealth. Ellen Stetson lived at 145 Beacon while her new home at 33 Marlborough was being completed. She had moved there by 1871.
In 1871, 145 Beacon was the home of Robert Charles Winthrop and his wife, Cornelia Adelaide (Granger) Winthrop. They previously had lived in Brookline, where they continued to maintain a residence. Robert Winthrop was President of the Massachusetts Historical Society, a former Speaker of the US House of Representatives, and a former US Senator. By 1872, they had moved to 88 Marlborough.
The Coolidges returned from Europe in August of 1871. They resumed living at 145 Beacon for the 1871-1872 winter season, and continued to live there through the 1875-1876 season.
In November of 1876, they moved next door to 147 Beacon (303 Berkeley), which had been the home of Julia (Gardner) Coolidge’s brother and sister-in-law, Joseph and Harriet (Amory) Gardner.
By the1877-1878 winter season, 145 Beacon was the home of Nathan Matthews and his wife, Albertine (Bunker) Matthews. They previously had lived at 12 Arlington. They also maintained a home in Newport.
Nathan Matthews was a real estate investor, formerly president of the Winnisimmet Company, which developed portions of Chelsea, and (between 1860 and 1870) president of the Boston Water Power Company, which developed portions of the Back Bay.
The Matthewses’ six surviving children lived with them: Nathan Matthews, Jr., Caroline Matthews, Sarah Hallett Matthews, Albert Matthews, Elizabeth Matthews, and Constant Southworth Matthews.
On April 15, 1878, the Matthews sold their home in Newport at public auction. Later that month, he declared bankruptcy. The Boston Evening Transcript reported on April 27, 1878, that “Mr. Matthews’s property has gradually shrunk in value since 1873, and for many months his insolvency has been generally known.”

143-145-147 Beacon ca.1885, prior to relocation of the entrance of 147 Beacon to 303 Berkeley ; courtesy of Stephen Jerome
In the early 1880s, Sarah Matthews joined the Episcopal Sisterhood of St. Margaret in Louisburg Square, taking the name Sister Paula Margaret. She lived there until her death in September of 1950.
In 1882-1883, Nathan Matthews built a new home at 25 Exeter. He and his wife continued to live at 145 Beacon, however, and sold the house in May of 1884.
Nathan Matthews, Jr., married in April of 1883 to Ellen Bacon Sargent. After their marriage, they lived at the Hotel Oxford (southeast corner of Exeter and Huntington) and then, during the 1885-1886 winter season, at 354 Marlborough. He was a lawyer and later would serve as Mayor of Boston.
John L. Gardner died in July of 1884. In his will, he left 143-145 Beacon in trust for the benefit of the children of his deceased son, Joseph Peabody Gardner: Joseph Peabody Gardner, Jr., William Amory Gardner, and Augustus Peabody Gardner. Joseph Peabody Gardner, Jr., died in October of 1886, and on December 31, 1886, the trustees transferred 143-145 Beacon to William Amory Gardner and Augustus Peabody Gardner, they both having reached the age of 21.
Nathan and Albertine Matthews continued to lease 145 Beacon from the Gardner family. In 1888, they traveled abroad for an extended stay in Europe.
During the 1888-1889 winter season, 145 Beacon was the home of wholesale dry goods merchant Samuel Bradford Dana and his wife, Katherine Wallen (Lyon) Dana. They previously had lived in West Roxbury.
By 1890, the Danas had moved to 128 Marlborough and 145 Beacon was once again the Matthewses’ home. Caroline, Albert, Elizabeth, and Constant Matthews continued to live with them.
Elizabeth Matthews married in May of 1893 to Henry LaBarre Jayne. He was a lawyer in Philadelphia, where they lived after their marriage.
Constant Matthews, treasurer of an excelsior manufacturing company, died in July of 1893.
In 1891, the Matthewses built a home, Highfield, in Bar Harbor.
Nathan Matthews died in August of 1904. After his death, Albertine Matthews and their daughter, Caroline, moved 456 Beacon to live with Nathan and Ellen (Sargent) Matthews, and then to the Hotel Vendome, where Albertine Matthews died in December of 1907. Albert Matthews, an author and historian, moved to an apartment at the Hotel Cambridge at 483 Beacon.
By 1905, 145 Beacon was the home of note broker Walter Abeel Underwood and his wife, Angie Eleanor (Ellis) Underwood. They previously had lived in Brookline. They also maintained a home in Cohasset, which had become their primary residence by 1906.
By the 1905-1906 winter season, 145 Beacon was the home of Dr. William Lothrop Edwards and his wife, Alice (Loring) Edwards. He was a physician and maintained his office in the house. In 1905, they had lived at 125 Beacon. They continued to live at 145 Beacon in 1907, but by 1908 had moved to 33 Gloucester.
On April 12, 1907, 145 Beacon was acquired from William A. Gardner and Augustus P. Gardner by Mary Wallingford (Herrick) Dame, the widow of liquor dealer Frank O’Brion Dame. She lived at 459 Marlborough during the 1906-1907 winter season and moved thereafter to Brookline, where she died in June of 1908. She does not appear to have lived at 145 Beacon.
145 Beacon was not listed in the 1908 and 1909 Blue Books.

143-145 Beacon (ca. 1942), Bainbridge Bunting Photograph Collection, courtesy of the Boston Public Library and Digital Commonwealth; licensed under a Creative Commons Attribution Non-Commercial No Derivatives License.
On April 17, 1908, 145 Beacon was acquired from Mary Dame by Thomas Dennie Boardman, a widower, and his two children, Madeleine (Boardman) Goodrich the wife of John Wallace Goodrich, and Reginald Boardman.
T. Dennie Boardman was a real estate and mortgage broker and former leather merchant. Reginald Boardman was a member of his father’s firm. J. Wallace Goodrich, an organ teacher, was dean of the New England Conservatory of Music. They all previously had lived at 244 Beacon.
On January 16, 1911, T. Dennie Boardman acquired his son’s interest in 145 Beacon, probably in anticipation of Reginald Boardman’s marriage the next month to Carrie Louise Munn. After their marriage, they lived in Manchester.
T. Dennie Boardman died in September of 1919. Madeleine Goodrich and Reginald Boardman inherited his interest in 145 Beacon. The Goodriches continued to live there during the 1920-1921 winter season, but moved thereafter to 319 Dartmouth.
On June 15, 1921, 145 Beacon was acquired from Madeleine Goodrich and Reginald Boardman by Adelaide Chatfield (Taylor) Whitman, the wife of Hendricks Hallett Whitman. They had lived at 18 Chestnut earlier in 1921, and at 338 Beacon in 1920. They also maintained a home, Cedar Hill, in Beverly.
Hendricks Whitman was a textile manufacturer and wholesale dry goods merchant in his father’s firm, and also president of the Katana textile mills.
They continued to live at 145 Beacon during the 1923-1924 winter season. During the next season, Adelaide Whitman and their children were traveling in Europe and Hendricks Whitman was living at 99 Pinckney and in Beverly.
During the 1924-1925 winter season, 145 Beacon was the home of James Hampton Robb, and architect, and his wife, Ruth (Winsor) Minturn Robb. They previously had lived in New York. They subsequently made their home in Beverly.
By the 1925-1926 season, the Whitmans were living at 145 Beacon once again. They continued to live there during the next season, after which they made Beverly their year-round residence.
On August 6, 1928, 145 Beacon was acquired from Adelaide Whitman by Euphemia Elizabeth McClintock of 129 Beacon.
A native of South Carolina, Euphemia McClintock had served as president of the College for Women in Columbia, South Carolina, until tit merged with Chicora College in 1915. She moved to Boston, where her sister, Mary Law McClintock, operated Miss McClintock’s School for Girls at 4 Arlington. Euphemia McClintock established the Erskine School for Young Women in 1920 to provide vocational and business training courses for girls who had graduated from private schools such as her sister’s.
After acquiring 145 Beacon, Euphemia McClintock operated it as a dormitory for Erskine School.
In May of 1935, she acquired 303 Berkeley (147 Beacon), and in July of 1935, she filed for (and subsequently received) approval to combine the buildings, cutting through openings in the party wall on several floors. The buildings continued to be used as a dormitory and dining room for residents of the building.
By 1937, Erskine School occupied seven buildings on the south side of Beacon between Arlington and Berkeley: 105, 111, 115, 129, 135, and 145 Beacon, and 303 Berkeley (147 Beacon).
Euphemia McClintock continued to serve as director of Erskine School until about 1939, and to live at 129 Beacon until about 1940.
On November 28, 1941, Anne M. Young and Franklin W. Fessenden, conservators of the property of Euphemia McClintock, transferred the five buildings she owned — 111 Beacon, 129 Beacon, 135 Beacon, 145 Beacon, and 303 Berkeley — to Erskine, Inc.
Erskine School continued to occupy 145 Beacon – 303 Berkeley and on July 15, 1946, the building was seriously damaged by fire. The school was closed for the summer and the dormitory was unoccupied; it subsequently was repaired and continued to be an Erskine School dormitory.
On December 29, 1950, 145 Beacon and 303 Berkeley were acquired from Erskine School by Emerson College. The College already owned 126-128-130 Beacon, across the street, and in October of 1956, it acquired 143 Beacon.
In 1953, Emerson College opened its Samuel D. Robbins Speech and Hearing Clinic at 145 Beacon. The Clinic remained there until about 1961, when it was moved to 168 Beacon. The College subsequently used the property as a dormitory and for offices and classrooms.
On May 8, 2001, Modern Continental Enterprises purchased 143-145 Beacon and 303 Berkeley from Emerson College.
In July of 2000, prior to finalizing its acquisition of the property, Modern Continental Enterprises had filed for (and subsequently received) permission to combine the three buildings into one property, with the address of 303 Berkeley, and to convert them into nine apartments. In September of 2002, it filed for (and subsequently received) permission to combine two of the units and reduced the total number to eight.
On February 12, 2003, Modern Continental Enterprises converted the apartments into eight condominium units, The Residences at 303 Berkeley.


